Цими днями в Городку ширяться чутки стосовно того, що за роботи тривають вздовж берега поруч із автостанцією. Зокрема, поряд з іншими, з цим питанням сьогодні звернулись атовці до міського голови Р.Кущака.
Отже, відповідаємо. 15.02.2017 р. генеральний директор ПАТ «Виробничо-комерційна компанія «Еталон» Макар О.Є. надіслав на адресу міського голови лист з повідомленням, що, цитуємо:
«для забезпечення цілісності земельної ділянки та стійкості її замощення брукованим покриттям, будуть проводитися роботи щодо укріплення берегової лінії ставу на орендованій нами земельній ділянці у м.Городок по вул.В.Стуса,7, зокрема, шляхом бетонування бюуронабивних паль».
Мається на увазі берег частини гирла річки, що служить на сьогодні пожежною водоймою.
У відповіді міська рада зазначила: «…Городоцька міська рада зобов’язує Вас виготовити проектну документацію на виконання зазначених робіт та погодити її згідно вимог діючого законодавства».
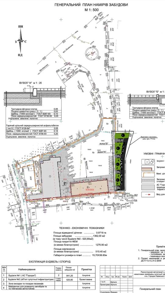
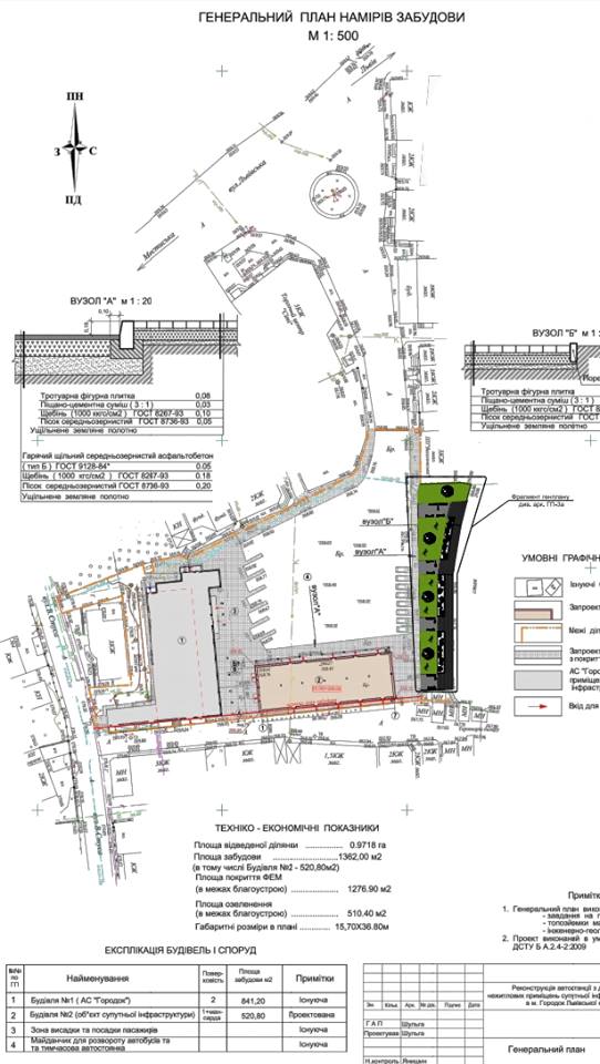
Отже, у прикріплених файлах можна ознайомитись із наданими ПАТ «Виробничо-комерційна компанія «Еталон» документами: план намірів забудови в комплексі та, фрагмент плану благоустрою вздовж лінії берега.
Як зазначив міський голова Р.Кущак, відділ державної архітектурно-будівельної інспекції слідкуватиме за дотриманням плану будівництва, дозволів та норм чинного законодавства.
